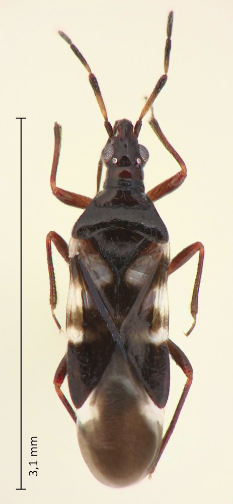
Anthocoris venustus Yamada & Yasunaga, 2021

Familie: Anthocoridae / Anthocorinae

Verbreitung: Japan (alle Hauptinseln).

Anthocoris venustus
23.4.2025; Naruto, Präf. Tokushima, Shikoku.

Die Art wurde erst 2021 von A. miyamotoi Hiura, 1959 abgetrennt. Die beiden Arten sind leicht an den gezeichneten Halbdecken zu erkennen. Während A. miyamotoi mit einem roten Kopf vor allem im südlichen Teil der Hauptinseln und den Ryukyus vorzukommem scheint, wird A. venustus mit dem schwarzen Kopf von allen Hauptinseln gemeldet.

Literatur: