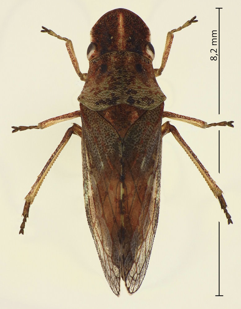
Ledropsis dicolor (Uhler, 1896), コミミズク

Familie: Cicadellidae / Ledrinae / Ledrini

Verbreitung: Japan (Honshu, Shikoku, Kyushu), China, Ostrussland.

Ledropsis dicolor
24.4.2025; Kazurabashi, Miyoshi-shi, Präf. Tokushima, Shikoku.

In Japan kommt noch Ledropsis wakabae Kato, 1931 vor, die aber auf den Flügeln oben vor der Mitte zwei Erhabenheiten hat. Das Bild zeigt ein Männchen. Bei den Weibchen ist der Kopfschild deutlich länger als breit.