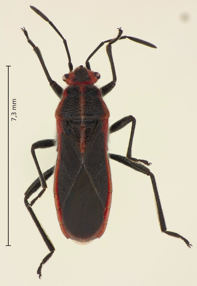
Arocatus sericans (Stål, 1859), アカヘリナガカメムシ

Familie: Lygaeidae / Lygaeinae

Verbreitung: Japan (Honshu, Shikoku, Kyushu), Süd- und Südostasien, tropisches Afrika, Australien.

Arocatus sericans
23.4.2025; Oboke-Canyon, Yoshi-shi, Präf. Tokushima, Shikoku.

Die drei in Japan vorkommenden Arten sind an der Färbung alle leicht zu unterscheiden.