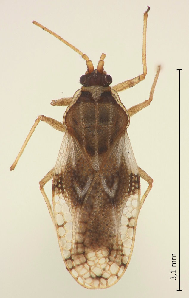
Metasalis populi (Takeya, 1932), ヤナギグンバイ

Familie: Tingidae / Tinginae / Tingini

Verbreitung: Japan (Honshu, Shikoku, Kyushu), gemäßigtes Ostasien.

Metasalis populi
17.4.2025; Ufer des Biwa-ko, Kusatsu-shi; Präf. Shiga.

Die 2,7-3,5 mm große Art lebt auf Weiden. Ursprünglich als Tingis populi beschrieben, wurde sie 1971 in eine eigene, monotypische Gattung Metasalis Lee, 1971 gestellt. Ich habe von ihr leider nur dieses eine, ziemlich ramponierte Exemplar.