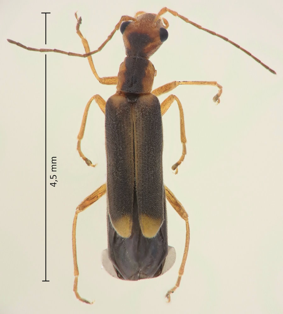
Malthinus mucoreus Kiesenwetter, 1879, クロスジツマキジョウカイ

Familie: Cantharidae / Malthinae / Malthini

Verbreitung: Japan (außer Hokkaido).

Malthinus mucoreus
24.4.2025; Naruto, Präf. Tokushima.

Die Art scheint meines Eindrucks nach die einzige auf den japanischen Hauptinseln zu sein, bei der der Kopf auch noch hinter den Augen in großem Umfang gelb ist, und bei der der gesamte Basisbereich der Flügeldecken, und nicht nur die Schultern, gelb sind.