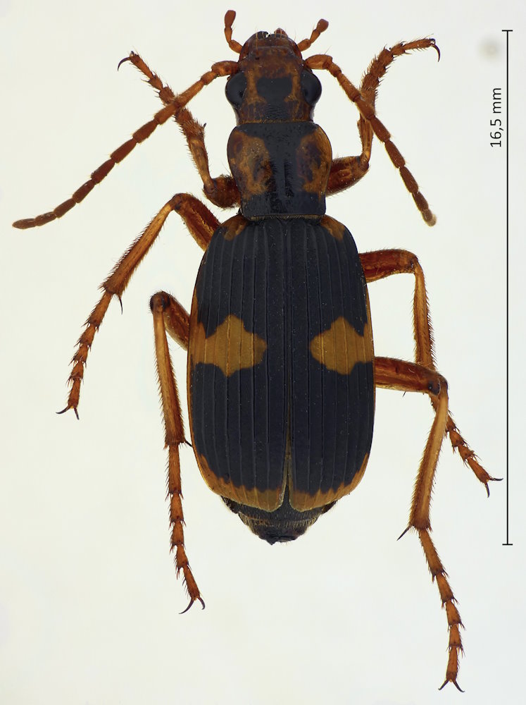
Pheropsophus jessoensis Morawitz, 1862, ミイデラゴミムシ

Familie: Carabidae / Brachininae / Brachinini

Verbreitung: ganz Japan, Korea, China.

Pheropsophus jessoensis
17.4.2025; Ufer des Biwa-ko, Kusatsu-shi; Präf. Shiga.