Dolerosomus gracilis (Candèze, 1873), キバネホソコメツキ

Familie: Elateridae / Elaterinae / Elaterini

Verbreitung: Ganz Japan; Kurilen.

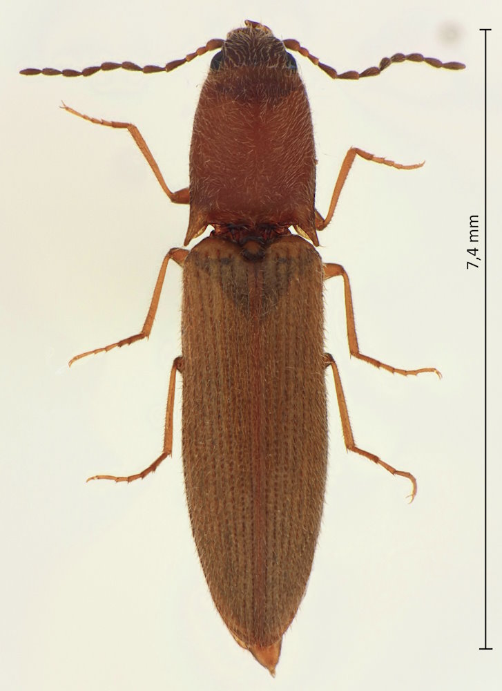
Dolerosomus gracilis
Männchen. 16.4.2025; Kusatsu; Präf. Shiga.

Die Weibchen dieser Art haben einen mit den Flügeldecken gleichfarbigen Halsschild, sind insgesamt heller gelbrot-braun, und sind mit rund 8 mm etwas größer. Allerdings treten auch bei den Männchen Exemplare auf, deren Halsschild ungefähr gleichfarbig mit den Flügeldecken sind. Im Zweifelsfall kann man die Fühler betrachten, die bei den Männchen deutlich länger sind als bei den Weibchen.

Dolerosomus gracilis
Weibchen. 23.4.2025; Oboke-Canyon, Yoshi-shi, Präf. Tokushima, Shikoku.