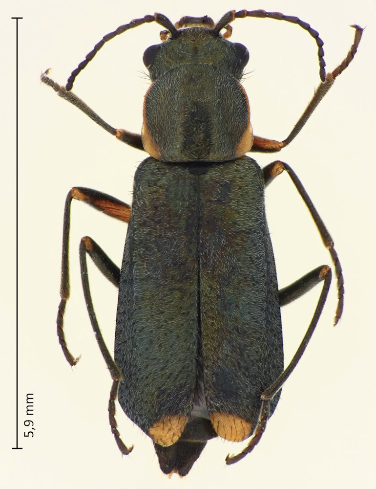
Malachius prolongatus Motschulsky, 1866, ツマキアオジョウカイモドキ

Familie: Melyridae / Malachiinae / Malachiini

Verbreitung: Japan (außer Ryukyus).

Malachius prolongatus
Weibchen; 23.4.2025; Oboke-Canyon, Yoshi-shi, Präf. Tokushima, Shikoku.

Die Männchen der Art haben stark vergrößerte basale Fühlerglieder. Der gelbe Rand des Halsschilds variiert in seiner Ausdehnung ziemlich stark. Ähnlich ist noch Cordylepherus xantholoma (Kiesenwetter, 1874), welcher aber mit rund 7 mm deutlich größer wird, und bei dem die Fühler bei beiden Geschlechtern gegen die Spitze hin deutlich dünner werden.

Auch die in Europa häufige Art M. bipustulatus wurde, vermutlich fälschlicherweise, aus Japan gemeldet. Außerdem hat Maurice Pic 1904 noch zwei Arten beschrieben, deren Status unklar ist: M. arctelimbatus und M. japonicus.