Oedemera sexualis Marseul, 1877, フタイロカミキリモドキ

Familie: Oedemeridae / Oedemerinae / Oedemerini

Verbreitung: Japan (außer Hokkaido).

Oedemera sexualis
Männchen; 24.4.2025; Naruto, Präf. Tokushima.

Bei den Männchen sind die Hinterschenkel orange und auffällig stark verdickt. Die Weibchen haben dagegen ganz dunkle Beine, allerdings sind sie an ihrem orangen Unterleib von den anderen zu unterscheiden.

Die Art ist nur im Süden verbreitet, mit der Unterart ryukyuana auf den südlichen Inseln, mit der Nominatrasse auf von Kyushu bis in die südlichen Gebiete Honshus. Letztere ist vor allem in den Küstengebieten rund um das Japanische Meer häufig. Daher stammen auch meine Exemplare.

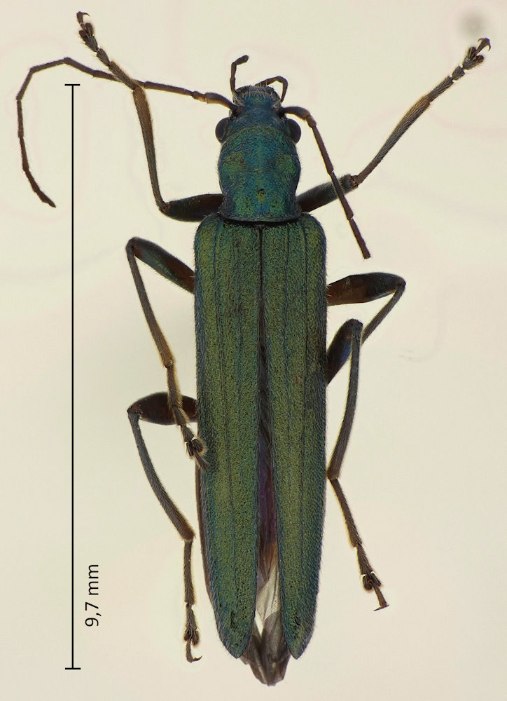
Oedemera sexualis
Weibchen; 24.4.2025; Naruto, Präf. Tokushima.
Oedemera sexualis
Weibchen, Unterseite; 24.4.2025; Naruto, Präf. Tokushima.