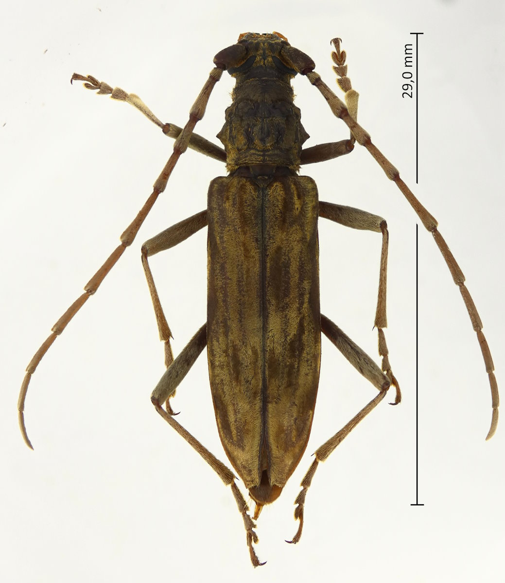
Aeolesthes chrysothrix (Bates, 1873), キマダラカミキリ

Familie: Cerambycidae / Cerambycinae / Cerambycini

Verbreitung: Japan (außer Hokkaido).

Aeolesthes chrysothrix
17.7.2014; Otsu; Präf. Shiga.

Die Art ist die einzige der Gattung in Japan und mit mehreren Unterarten überall außer auf Hokkaido verbreitet. Mit ihren durch die stark verwirbelten Haare kontrastreich gezeichneten Flügeldecken ist sie so ziemlich unverwechselbar. Dieses Exemplar stammt von einer Baumsaftstelle in einem Park.