| 132.2 Cerambycidae / Prioninae |

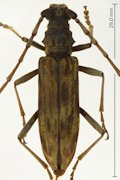
Prionus insularis |
| 132.3 Cerambycidae / Lepturinae |

Dinoptera minuta |

Leptura aethiops |

Leptura ochraceofasciata |

Macroleptura regalis |

Pachytodes cometes |

Pseudalosterna misella |

Stictoleptura succedanea |

Pidonia lyra |

Pidonia aegrota |

Pidonia cf. falcata |

Pidonia grallatrix |

Lemula decipiens |
| 132.4 Cerambycidae / Spondylinae |

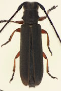
Arhopalus coreanus |

Spondylis buprestoides |
| 132.6 Cerambycidae / Cerambycinae |

Paraclytus excultus |

Ceresium fuscum |

Aeolesthes chrysothrix |

Demonax transilis |

Rhaphuma diminuta |
| 132.7 Cerambycidae / Lamiinae |

Sciades tonsus |

Palimna liturata |

Arhopaloscelis nipponensis |

Asaperda rufipes |

Eupogoniopsis tenuicornis |

Miccolamia glabricula |

Rhopaloscelis unifasciatus |

Rhodopina lewisii |

Microlera ptinoides |

Sybra subfasciata |

Mesosa longipennis |

Acalolepta fraudatrix |

Anoplophora chinensis |

Monochamus subfasciatus |

Psacothea hilaris |

Phytoecia rufiventris |

Exocentrus fasciolatus |

Exocentrus lineatus |

Exocentrus testudineus |

Pterolophia caudata |

Pterolophia granulata |

Pterolophia leiopodina |

Eutetrapha chrysochloris |

Xenolea asiatica |